
Deer Park - Shelter Island Express 1904
(Fullerton-Morrison) |
DEER PARK
 |

Deer Park Station - Freight House 1920's Archive: Art Huneke |
|
DEER PARK: 1ST DEPOT OPENED:
03/12/1842 WITH OPENING OF LIRR TO THAT POINT. STAGECOACH SERVICE TO
BABYLON.
2ND DEPOT BUILT: APR-MAY/1884, CLOSED: 8/25/36 DUE TO GRADE CROSSING
ELIMINATION OF DEER PARK AVE. COVERED PLATFORMS REMOVED AND DEPOT
JACKED UP AND RELOCATED TO TEMPORARY SHOO-FLY TRACK. MOVED TO PRIVATE
LOCATION ON HALF HOLLOW ROAD S. OF THE TRACKS (move is Robert Emery
data).
3RD, ELEVATED DEPOT OPENED: 12/17/36. AGENCY CLOSED:? DEPOT CLOSED: 1987
4TH DEPOT RELOCATED FURTHER EAST OF FORMER LOCATION WITH HI-LEVEL
PLATFORMS IN SVC: 9/14/87 Research: Dave Keller
|
%20-%20c.%201910%20(Keller)%20(Grayscale)_small.jpg) Here's
a copy of a very old cyanotype view of Deer Park station looking NE c. 1910.
The cyanotype process originated in the 1840s. This process produced a
cyan-blue print. Engineers used the process well into the 20th century as a
simple and low-cost process to produce copies of drawings, referred to as
blueprints. The process uses two chemicals: ferric ammonium citrate and
potassium ferrocyanide. (Don't lick your fingers!) In this image, note that
the tracks for the passing siding at the right are not curved around a block
signal mast as is evident in later images of the station when at-grade.
It would appear that, at the time of this photo, Deer Park was not a train
order office. That doesn't seem plausible as many way-stations were
train order offices at that time, but I also cannot see the old-style train
order signal with flip indicator out front of the depot. Long Island
Avenue is visible in the left background, passing in front of the old
farmhouse. Beyond the depot is the express house and beyond that, a
section house. Also note the four Dietz kerosene platform lamps which,
at the time, were deemed sufficient illumination. (Dave Keller
archive)
|

Deer Park view W 1924
Archive: Dave Morrison
|

Emery Deer Park MP36-37 - pre-1937 5/1958
Archive: Dave Keller
Emery Deer Park MP36-37 pre-1937 5/1958
Archive: Dave Keller |

Emery Deer Park MP36-37 - 1937+ 5/1958
Archive: Dave Keller |

Deer Park Ave - View S c.1925 |

Deer Park Ave - View N c.1925
Long Island Ave towns west distance wooden road sign:
New York
Wyandanch 1 M
Pinelawn 4 M
Farmingdale 6 M
|
 |

Deer Park Ave - View E 9/22/1932 (Weber-Morrison) |

Deer Park Ave - View E 9/22/1932 zoom
(Weber-Morrison) Express shed at left. "DK" block signal with south
side passing siding on right.
|

Wooden road sign at Deer Park Ave/Long Island Ave.
SE corner
|

Deer Park Commerce Bank print c.1937
Archive: Dave Morrison |

Deer Park view E c.1937 Photo: Winfield S. Boerckel
Archive: Dave Morrison |

Deer Park postcard - View E c.1937
Archive: Dave Morrison
|
%20-%201936%20(Ayling-Keller)_small.jpg) |
This 1936 view is
looking due east at the old Deer Park depot. Long Island Avenue is visible
in the left background. The embankment for the elevated tracks is at the
far right and the shoo-fly temporary track and platform is at grade in front
of the depot. If you look in the distance you can see the shoo-fly track
curving away from the original Main. It appears that a temporary station
was never put into service during this elimination as the original depot
appears to have been kept in use. Note the covered platforms have been cut
nearly off and the depot appears to have been jacked up off its foundation
to be moved further north to allow laying of the shoo-fly track. After the
project was completed in December of that year, Robert Emery states the
depot was moved off-site to a private location on Half Hollow Road south of
the tracks. (George G. Ayling photo, Dave Keller archive)
|
%20-%201936%20(Ayling-Keller)_small.jpg) |
Also photographed during the
grade elimination project of 1936, this rear view of the old depot is
looking SW towards the new embankment with the new girder trestle over Deer
Park Avenue visible in the right background. The depot again shows the
nearly-complete removal of the covered platforms. The base of the structure
appears to still be resting on steel supports after having been jacked up
and moved closer north to Long Island Avenue. The supports have probably
been left in place as the depot would shortly be hoisted up once more, and
moved to its future private location. (George G. Ayling photo, Dave Keller archive)
|
%20-%201936%20(Ayling-Keller)_small.jpg) |
Looking due west in front of the
old Deer Park depot in 1936, we see the temporary shoo-fly track and station
platform and the new embankment which will carry the new tracks over Deer
Park Avenue. The old grade crossing is just visible in the distance behind
the man on the platform. (George G. Ayling photo, Dave Keller archive)
|
_small.jpg)
G5s #22 is pulling a passenger train eastbound into the station at Deer
Park, NY on this wintry day c. 1946. (Dave Keller archive)
|

Deer Park Station platform - View W 1946 zoom
(Weber-Morrison)
|

Deer Park Station - View W 1946
(Weber-Morrison) |

Deer Park Station platform - View E 1946
(Weber-Morrison) |

It's the summer of 1957 and the conductor is handing orders to the engineer
of FM H16-44 #1506 as the westbound train sits at the "DK" block signals at
the west end of the Deer Park station platform.
In the distance is an FM C-liner eastbound on the
passing siding, awaiting the westbound to clear the block before it can come
off the siding, enter the main and proceed on to Ronkonkoma. (Jules P.
Krzenski photo, Dave Keller archive) |

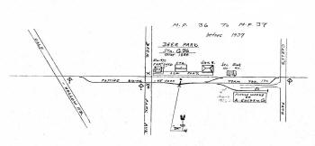
LIRR map Deer Park 1966

Ticket Deer Park - Pine Aire
8/24/1961 Archive: Brad Phillips
 |

LIRR #54 freight view west of Deer Park Station
Ex-AIL water tower in background 1974

AIL water tower west of Deer Park Station
1/16/1988 Photo/Archive: Edward Hand |
|

Deer Park Station 7/1973 Photo/Archive: Brad Phillips

Half fare ticket Deer Park - Wyandanch
8/24/1961 Archive: Brad Phillips

|

J. A. Gillin 2nd trick Agent-Operator Deer Park [DK] handing up orders to
RF-59 late afternoon in Jan, 1978. Photo: by G. P. Lind Archive: Jim
Gillin

MP-15ac #152 with Rick Walters, first trick Agent-Operator Deer
Park, giving the orders to train RF-61. 4/1978 Info/Photo: Jim Gillin
|

Deer Park Station - View SW 12/1986 Photo/Archive: Art Huneke
This photo shows the embankment
upon which the new station was constructed in 1936 as well as the curved
access roadway which made a "U" and looked similar on the west side of the
station. Long Island Avenue is in the foreground and the position
light block signals are visible in the distant far right . I believe
the retaining wall was added in later years when this area was torn up to
add much-needed parking behind the depot (probably the main reason for
relocating the station further east in 1987). Info: Dave Keller
|
 |
Photo west of Deer Park station, back
on 1/15/2018. I had assumed when the second main track was going to be
installed that the switch at the west end of the double-track section from
here to Brentwood (the second switch, beyond the home signal) would become
the west end of the new crossover. NOT SO! Two completely new sets of
crossovers were installed slightly to the west of the existing switch!
The relationship of the old and new switches did not show up in a General
Notice diagram, as it should have, as would have been done years ago.
Photo/Archive/Info: Jeff Erlitz
|
_small.jpg) |
This is the 2-lever,
US&S Model 6 electrical locked semaphore indicator table machine used to
operate the "DK" block signals from the elevated station's block office at
Deer Park, NY. These indicators were placed in service inside the new depot
on January 26, 1937 and were taken out of service on September 14, 1987 when
this location was shut down due to the Ronkonkoma electrification project
and the depot relocated further east near the former Pineaire/Pine Aire
station site. (Richard Makse photo, Dave Keller archive)
|

Ticket Weekly -Brooklyn (Flatbush Ave.) and Deer Park
1966 Archive: Dave Keller
 |

Ticket Weekly -Brooklyn (Flatbush Ave.) and Deer Park
1970 Archive: Dave Keller

|

Main Line - Deer Park Track profile map 1994

Ticket Monthly -City Zone and Deer Park
2007 Archive: Dave Keller
 |
|
|
|
|